AW: Bischofsberg
Guten Morgen Uwe,
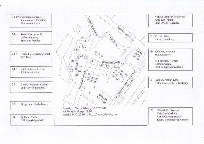
stimmt schon, was du sagst. Doch gerade beim Bischofsberg gehe ich davon aus, dass sich die Straße verändert hat. Daher gehe ich davon aus, dass sich auch die Nummerierung geändert hat, zumindest zu einem Teil. Deswegen wäre ein Meßtischblatt sinnvoll oder aber Augenzeugenberichte. Ich warte erst mal ab, was hier noch so kommt.
Habe nämlich noch andere zeitaufwändige Baustellen.
Trotzdem herzlichen Dank. Die Seite kann ich auf alle Fälle gebrauchen.
Herzlich
Miriam
Guten Morgen Uwe,
stimmt schon, was du sagst. Doch gerade beim Bischofsberg gehe ich davon aus, dass sich die Straße verändert hat. Daher gehe ich davon aus, dass sich auch die Nummerierung geändert hat, zumindest zu einem Teil. Deswegen wäre ein Meßtischblatt sinnvoll oder aber Augenzeugenberichte. Ich warte erst mal ab, was hier noch so kommt.
Habe nämlich noch andere zeitaufwändige Baustellen.
Trotzdem herzlichen Dank. Die Seite kann ich auf alle Fälle gebrauchen.
Herzlich
Miriam

... Du schafst das ganz alleine.
Kommentar