Die Speicher zwischen Hopfengasse und Alte Mottlau

Einklappen
X
 
  • Zeit
  • Anzeigen
Alles l
neue Beitr
  • sarpei
    Forum-Teilnehmer
    • 17.12.2013
    • 6085

    #1

    Die Speicher zwischen Hopfengasse und Alte Mottlau

    Hallo miteinander,

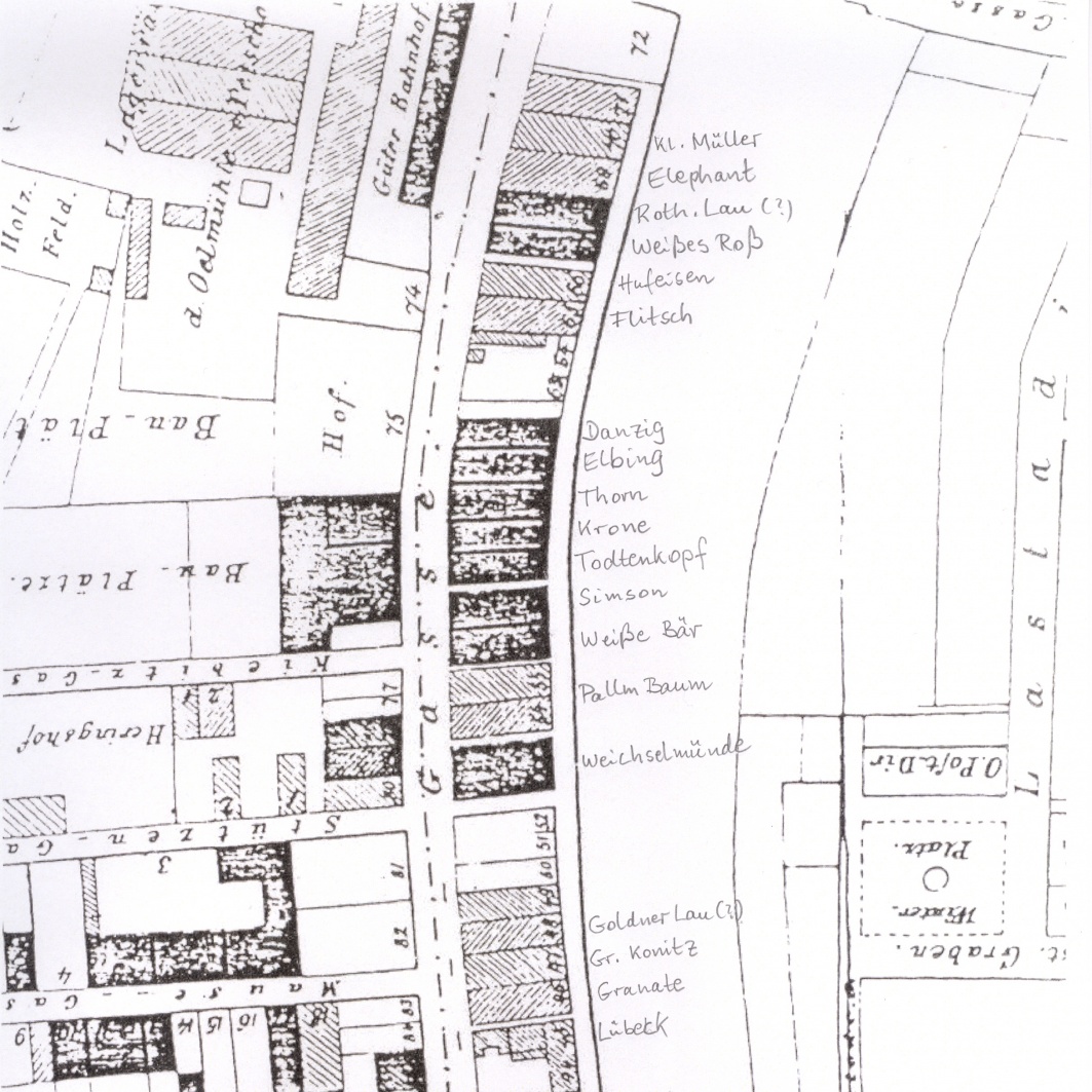
    nachstehend mein erster Versuch einer Zuordnung alter Speichernamen zu den Speichern an der Alte Mottlau. Es handelt sich um den Teil mit den Adressen Hopfengasse 1 bis 43.

    [ATTACH=CONFIG]22273[/ATTACH]

    Zur besseren Zuordnung habe ich die alten Speichernamen sozusagen ins Wasser der Alte Mottlau geschrieben.


    Viele Grüße

    Peter
    Angeh
  • Ulrich 31
    Forum-Teilnehmer
    • 04.11.2011
    • 8547

    #2
    AW: Die Speicher zwischen Hopfengasse und Alte Mottlau

    Lieber Peter,

    wegen gesundheitlicher Angeschlagenheit komme ich erst jetzt dazu, Dir sehr herzlich für Deine begrüßens- und lobenswerte Zuordnung der alten Speichernamen zu den früheren Speichern an der Alten Mottlau zu danken. Du bist, wieder mal, der Einzige, der solche Detailarbeit dem Forum, besonders aber mir in diesem Fall, liefern kann. Es war ja mein Wunsch i.V.m. meinem Hunde-Rätsel, dort H1, diese alten Speichernamen zu erfahren. Ich wollte wissen, wie weit die alten Speichernamen für die nach 1945 nach altem Vorbild wiedererbauten Speichergebäude (jetzt mit anderer Nutzung) übernommen wurden. Du hast uns mit Deiner handschriftlichen Zuordnung der alten Namen nun gezeigt, dass diese nur für wenige der neuen Gebäude übernommen wurden, während die meisten dieser neuen Gebäude neue
    "Speichernamen" erhielten. Das trifft z.B. auch für das von mir gewählte "Speichergebäude" zu, dessen zerstörter Vorgänger nach Deiner Zuordnung den Speichernamen "Gehrt" (Hundegasse 33) trug, das jetzt aber den polnischen Namen "BIAŁY PIES" (dt. "Weißer Hund") führt.

    In diesem Zusammenhang interessiert mich, welcher zuverlässigen Quelle Du Deine Zuordnungen entnehmen konntest. (Antwort evtl. per PN.)

    Beste Grüße
    Ulrich

    Kommentar

    • Peter von Groddeck
      Forum-Teilnehmer
      • 11.02.2008
      • 1517

      #3
      AW: Die Speicher zwischen Hopfengasse und Alte Mottlau

      Lieber Peter,
      auch ich danke für diese Zuordnung. Mich interessiert die Quelle auch. Also bitte nicht per PN, sondern hier.
      Ein schönes langes Wochende
      Peter
      Tue recht und scheue niemand.

      Kommentar

      • Peter von Groddeck
        Forum-Teilnehmer
        • 11.02.2008
        • 1517

        #4
        AW: Die Speicher zwischen Hopfengasse und Alte Mottlau

        Eben sehe ich, dass der vorige Eintrag Nr. 999 war. Dann ist dies wohl die Nr. 1000
        Grüße Peter
        Tue recht und scheue niemand.

        Kommentar

        • sarpei
          Forum-Teilnehmer
          • 17.12.2013
          • 6085

          #5
          AW: Die Speicher zwischen Hopfengasse und Alte Mottlau

          Hallo miteinander,

          im Beitrag #1 wurde nur die erste Hälfte der Speicher an der Mottlaupartie behandelt. Nachstehend folgt die zweite Hälfte:

          [ATTACH=CONFIG]22275[/ATTACH]

          Damit wäre die Partie entlang der 'Alte Mottlau' abgeschlossen.

          Auf der anderen Seite der Hopfengasse finden sich weitere 'illustre' Speichernamen:

          80: Der hungrige Wolf
          86/87: Steinkater
          93: Weißer Engel
          114/115: Der Rothe
          116: Der Ungar


          Viele Grüße

          Peter
          Angeh

          Kommentar

          • Ulrich 31
            Forum-Teilnehmer
            • 04.11.2011
            • 8547

            #6
            AW: Die Speicher zwischen Hopfengasse und Alte Mottlau

            Hallo Peter,

            ich sehe, dass Du in Deiner Abbildung in #5 zwei Speichernamen mit "(?)" versehen hast: "Roth Lau" (Nr. 68) und "Goldner Lau" (Nr. ?). Vermutlich wundert Dich die Bezeichnung "Lau". - Hier die Erklärung dazu: > http://www.noz.de/lokales/osnabrueck...k-wie-ein-lowe .

            Viele Grüße
            Ulrich

            Kommentar

            • Heidrun1963
              Forum-Teilnehmer
              • 09.10.2019
              • 22

              #7
              AW: Die Speicher zwischen Hopfengasse und Alte Mottlau

              Auch wenn der Post zu den Speichernamen schon älter ist, hat er mir doch gerade sehr geholfen! Und so sage ich Dankeschön für die hervorragenden Karten/Bilder!
              Die Frage nach der Quelle der Speichernamen war hier noch nicht beantwortet worden: wo findet man etwas dazu?

              Herzliche Grüße
              Heidrun
              " Ein Volk, das keine Vergangenheit haben will, verdient auch keine Zukunft " - W.v. Humboldt

              Kommentar

              • sarpei
                Forum-Teilnehmer
                • 17.12.2013
                • 6085

                #8
                AW: Die Speicher zwischen Hopfengasse und Alte Mottlau

                Hallo miteinander,

                meine Quelle waren die Danziger Adressbücher. Ich kann allerdings nicht mehr genau sagen, welches. Aber es waren 'relativ alte'. Also mal Ende des 19. bzw. Anfang des 20. Jahrhunderts schauen.

                Wo findet man diese Adressbücher? Z.B. auf der Web-Seite unseres Forum-Mitgliedes mueglo unter

                (nach unten scrollen).


                Viele Grüße,

                Peter

                Kommentar

                • JuHo54
                  Forum-Teilnehmer
                  • 11.12.2008
                  • 2377

                  #9
                  AW: Die Speicher zwischen Hopfengasse und Alte Mottlau

                  Hallo Heidrun,
                  ich verweise nochmal auf diesen Thread:
                  https://www.danzig.de/showthread.ph...eicher+Holland
                  Dort kann man sehr schön sehen, dass dies ein wirkliches Thema ist.
                  Ich vermisse allerdings den Speicher Emil Bahlinger, direkt neben dem Speicher Wallfisch und 2 Speicher weiter vom Gr. Groddeck, der hier als Graudenz bezeichnet wird. Mir stellt sich daher die Frage, von wann diese Bezeichnungen sind.
                  Liebe Grüße
                  Jutta
                  Jeder Tag ist ein kleines Leben für sich.

                  Artur Schopenhauer* 1788 Danzig

                  Kommentar

                  • Peter von Groddeck
                    Forum-Teilnehmer
                    • 11.02.2008
                    • 1517

                    #10
                    AW: Die Speicher zwischen Hopfengasse und Alte Mottlau

                    Liebe Jutta,
                    leider kann ich Dir Deine Frage nicht beantworten.
                    Gruß Peter
                    Tue recht und scheue niemand.

                    Kommentar

                    • sarpei
                      Forum-Teilnehmer
                      • 17.12.2013
                      • 6085

                      #11
                      AW: Die Speicher zwischen Hopfengasse und Alte Mottlau

                      Hallo Jutta,

                      die von mir benutzten Speicherbezeichnungen finden sich so u.a. im Danziger Adressbuch des Jahres 1897 (Straßenverzeichnis, unter 'Hopfengasse').

                      Ab Jahrgang 1909 der Adressbücher wird als Eigentümer des Speichers unter der Anschrift Hopfengasse 40 der Schlossermeister Emil BAHL aufgeführt. Siehe z.B. hier:

                      [ATTACH=CONFIG]25831[/ATTACH]


                      Viele Grüße,

                      Peter
                      Angeh

                      Kommentar

                      • JuHo54
                        Forum-Teilnehmer
                        • 11.12.2008
                        • 2377

                        #12
                        AW: Die Speicher zwischen Hopfengasse und Alte Mottlau

                        Hallo Peter,
                        dann habe ich das Foto, das mir vorliegt, falsch interpretiert. Die Endung ist nämlich abgeschnitten... Das muss ich das in meinen Unterlagen korrigieren. Danke dir
                        Liebe Grüße
                        Jutta
                        Jeder Tag ist ein kleines Leben für sich.

                        Artur Schopenhauer* 1788 Danzig

                        Kommentar

                        • Wolfgang
                          Forumbetreiber
                          • 10.02.2008
                          • 11622

                          #13
                          AW: Die Speicher zwischen Hopfengasse und Alte Mottlau

                          Schönen guten Abend,

                          in Peters Zeichnung vom 29.04.2017 (Beitrag #5) ist neben dem Speicher Danzig (heute: Spichlerz "Gdańsk) das Grundstück 63/64 eingezeichnet auf dem es scheinbar keine Bebauung gibt. Dieses Grundstück ist jedoch genutzt worden, u.a. von der Fa. "L. Haurwitz & Co." - eine Firmenanzeige erschien in den Danziger Neuesten Nachrichten am 12.06.1902:

                          [ATTACH=CONFIG]26676[/ATTACH]

                          Heute stehen dort nur Teile der Außenmauern. Während an den anderen Speichern noch Tafeln mit den Speichernamen angebracht sind, fehlt diese dort. Möglicherweise ist der Speicher bereits im 19. Jahrhundert abgebrannt und dann zumindest nicht wieder vollständig aufgebaut worden. Auf der Rückseite, also auf der Mottlauseite, ist auf der Außenmauer folgende Tafel zu sehen:

                          [ATTACH=CONFIG]26677[/ATTACH]

                          Offensichtlich ist das ein Hinweis darauf, dass dies ein Speicher war, der 1755 erbaut wurde. Ich kann nicht erkennen, ob die Inschrift, sofern es sich um eine solche handeln sollte, Initialen sind. Unterhalb dieser Inschrift ist die Tafel zerstört, möglicherweise absichtlich oder auch durch Witterungseinflüsse.

                          Bisher habe ich nirgendwo gefunden, was da stand bzw. welcher Speicher das war. Vielleicht findet jemand von Euch die Lösung?

                          Schöne Grüße aus dem Werder
                          Wolfgang
                          Angeh
                          Das ist die höchste aller Gaben: Geborgen sein und eine Heimat haben (Carl Lange)
                          Wolfgang Naujocks: Zertifizierter Führer und Volontär in der Gedenkstätte/Museum "Deutsches Konzentrationslager Stutthof" in Sztutowo
                          Certyfikowany przewodnik i wolontariusz po muzeum "Muzeum Stutthof w Sztutowie - Niemiecki nazistowski obóz koncentracyjny i zagłady"

                          Kommentar

                          • sarpei
                            Forum-Teilnehmer
                            • 17.12.2013
                            • 6085

                            #14
                            AW: Die Speicher zwischen Hopfengasse und Alte Mottlau

                            Hallo Wolfgang und Mitlesende!

                            Die Danziger Adressbücher für 1905 und 1907 helfen möglicherweise weiter:

                            [ATTACH=CONFIG]26678[/ATTACH]

                            aus: Adressbuch für 1905

                            [ATTACH=CONFIG]26679[/ATTACH]

                            aus: Adressbuch für 1907

                            Ich vermute daher, dass die Bebauung so um 1906 erfolgte.

                            Bei den im Gemäuer 'eingelassenen' Kalksteinteilen scheint es sich meiner Meinung nach um zwei nicht zusammengehörende Teile zu handeln. Der untere Teil könnte aus den Ruinen nach dem katastrophalen Brand der Speicherinsel stammen, der obere Teil gehört wohl eher nicht zum Speichergebäude und stammt woanders her.


                            Viele Grüße,

                            Peter
                            Angeh

                            Kommentar

                            • Ulrich 31
                              Forum-Teilnehmer
                              • 04.11.2011
                              • 8547

                              #15
                              AW: Die Speicher zwischen Hopfengasse und Alte Mottlau

                              Falls noch nicht bekannt: ► https://www-trojmiasto-pl.translate...._x_tr_pto=wapp.

                              Ulrich

                              Kommentar

                              L